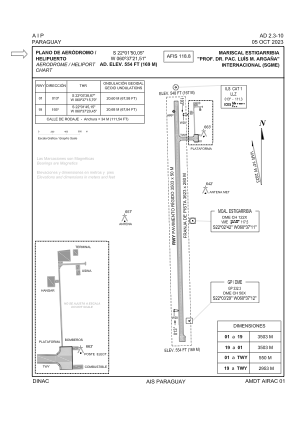
SGME - Prof. Dr. Pac. Luis M. Argana Intl
Located in Mariscal Estigarribia, Paraguay
ICAO - SGME, IATA - ESG
Data provided by AirmateGeneral information
Coordinates: S22°1'50" W60°37'22"
Elevation is 554 feet MSL.
Magnetic variation is -14° East View others Airports in Boquerón Department
Operational data
Special qualification required
Current time UTC:
Current local time:
Communications frequencies: [VIEW]
Runways:
| RWY identifier | QFU | Length (ft) | Width (ft) | Surface | LDA (ft) |
| 01 | 358° | 11175 | 119 | CONC | 11493 |
| 19 | 178° | 11175 | 119 | CONC | 11493 |
Airport contact information
Address: Mariscal Estigarribia Paraguay



