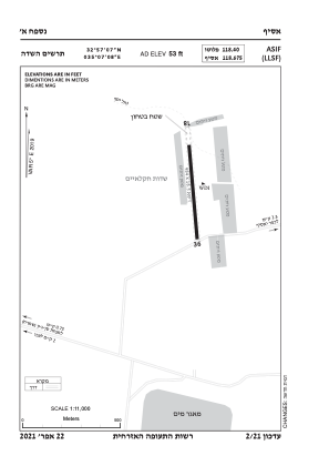
LLSF - Assif
Located in Abu Snan, Israel
ICAO - , IATA -
Data provided by AirmateGeneral information
Coordinates: N32°57'7" E35°7'8"
Elevation is 53 feet MSL.
Magnetic variation is 5° East View others Airports in Haifa District
Operational data
Special qualification required
Current time UTC:
Current local time:
Communications frequencies: [VIEW]
Runways:
| RWY identifier | QFU | Length (ft) | Width (ft) | Surface | LDA (ft) |
| 36 | 356° | 1770 | 59 | GRAS | 1588 |
| 18 | 176° | 1770 | 59 | GRAS | 1588 |
Airport contact information
Address: Abu Snan Israel



