CYYN - Swift Current
Located in , Canada
ICAO - CYYN, IATA - YYN
Data provided by AirmateGeneral information
Coordinates: N50°17'31" W107°41'24"
Elevation is 2681 feet MSL.
Magnetic variation is 11.2697° East View others Airports in Saskatchewan
Operational data
Special qualification required
Current time UTC:
Current local time:
Communications frequencies: [VIEW]
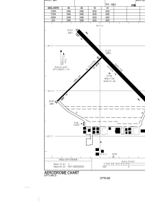
Runways:
| RWY identifier | QFU | Length (ft) | Width (ft) | Surface | LDA (ft) |
| 04 | 46° | 2495 | 50 | ASPH | 2495 |
| 22 | 226° | 2495 | 50 | ASPH | 2495 |
| 13 | 136° | 4250 | 150 | ASPH | 4250 |
| 31 | 316° | 4250 | 150 | ASPH | 4250 |
Airport contact information
Address: Canada



