LETL - Teruel
Located in Teruel, Spain
ICAO - , IATA - TEV
Data provided by AirmateGeneral information
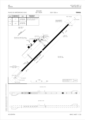
Coordinates: N40°24'43" W1°13'3"
Elevation is 3367 feet MSL.
Magnetic variation is 0° East View others Airports in Teruel
Operational data
Special qualification required
Current time UTC:
Current local time:
Communications frequencies: [VIEW]
Runways:
| RWY identifier | QFU | Length (ft) | Width (ft) | Surface | LDA (ft) |
| 18 | 178° | 8354 | 144 | ASPH | 8330 |
| 36 | 358° | 8354 | 144 | ASPH | 8330 |
Airport contact information
Address: Teruel Spain



