IAC chart of KDPA
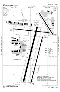
ADC chart of KDPA
Satellite view of KDPA
image banner adimage banner adimage banner ad
image banner ad

KDPA - Dupage

Located in Chicago/West Chicago, United States

ICAO - DPA, IATA - DPA

Data provided by Airmate  

General information

Coordinates: N41°54'25" W88°14'53"
Elevation is 758 feet MSL.
Magnetic variation is -01° East
View others Airports in Illinois

Operational data

Special qualification required
Current time UTC:
Current local time:
View NOTAMs / SUP AIP / TFR affecting this airport [VIEW]
Communications frequencies: [VIEW]

Runways:

RWY identifierQFULength (ft)Width (ft)SurfaceLDA (ft)
02L14°7571150CONC
20R194°7571150CONC
02R14°6451100CONC
20L194°6451100CONC
1096°475075ASPH
28276°475075ASPH
15148°3399100ASPH
33328°3399100ASPH

Airport contact information

Address: Chicago/West Chicago United States

Other aviation service providers

Flight schools

Travel Express Aviation, Llc

Travel Express Aviation, Llc
info@flytea.com6305846462

Illinois Aviation Academy, Inc.

Illinois Aviation Academy, Inc.

Atp Flight School (800-All-Atps)

Atp Flight School (800-All-Atps)

Avel Flight School

Avel Flight School

Fsx Chicago

Fsx Chicago
fsxchicago@gmail.com+1(708)299-8246

Satellite view of KDPA