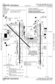
KOKC - Okc Will Rogers Intl
Located in Oklahoma City, United States
ICAO - OKC, IATA - OKC
Data provided by AirmateGeneral information
Coordinates: N35°23'35" W97°36'3"
Elevation is 1295 feet MSL.
Magnetic variation is 04° East View others Airports in Oklahoma
Operational data
Special qualification required
Current time UTC:
Current local time:
Communications frequencies: [VIEW]
Runways:
| RWY identifier | QFU | Length (ft) | Width (ft) | Surface | LDA (ft) |
| 13 | 135° | 7800 | 150 | CONC | 7800 |
| 31 | 315° | 7800 | 150 | CONC | 7800 |
| 17L | 180° | 9802 | 150 | CONC | 9802 |
| 35R | 360° | 9802 | 150 | CONC | 9802 |
| 17R | 180° | 9801 | 150 | CONC | 9800 |
| 35L | 360° | 9801 | 150 | CONC | 9800 |
| 18 | 180° | 3079 | 75 | ASPH | 3079 |
| 36 | 360° | 3079 | 75 | ASPH | 3079 |
Airport contact information
Address: Oklahoma City United States