Search for airport 

LFRN - Rennes Saint Jacques

Located in Rennes, France

ICAO - LFRN, IATA - RNS

Data provided by Airmate  

General information

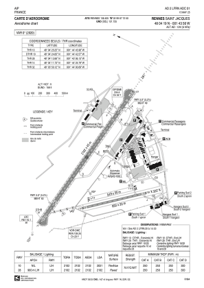
Coordinates: N48°4'19" W1°43'56"
Elevation is 124 feet MSL.
Magnetic variation is -0.20° East
Rated:
View ratings:
[VIEW]
View others Airports in Brittany

Operational data

Special qualification required
Current time UTC:
Current local time:
View NOTAMs / SUP AIP / TFR affecting this airport [VIEW]
Communications frequencies: [VIEW]

Runways:

RWY identifierQFULength (ft)Width (ft)SurfaceLDA (ft)
14142°278998CONC+ASPH2789
32322°278998CONC+ASPH2789
14L142°1804164GRASS1804
32R322°1804164GRASS1804
10101°6896148CONC+ASPH6663
28281°6896148CONC+ASPH6896

Airport contact information

Address: Rennes France

Handlers

Seard

Seard

Other aviation service providers

Aviation club (not for profit)

Aéroclub de Haute Bretagne

Aéroclub de Haute Bretagne
+33299751401

Aéroclub Rennes Ille et Vilaine

Aéroclub Rennes Ille et Vilaine
acriv@wanadoo.fr+33299319181

Rennes Air Club

Rennes Air Club
Rated:
View ratings:
[VIEW]

Rennes Université Aéroclub

Rennes Université Aéroclub

Aviation medical examiner

Dr Joubrel Alain

Dr Joubrel Alain
+33 299315656

Dr Prual Patrick

Dr Prual Patrick
+33 299543219

Satellite view of LFRN