Search for airport 

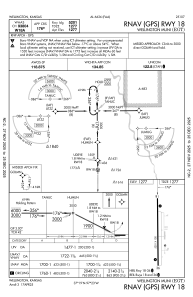
KEGT - Wellington Muni

Located in Wellington, United States

ICAO - EGT, IATA -

Data provided by Airmate  

General information

Coordinates: N37°19'30" W97°23'18"
Elevation is 1277 feet MSL.
Magnetic variation is 03° East
View others Airports in Kansas

Operational data

Special qualification required
Current time UTC:
Current local time:
View NOTAMs / SUP AIP / TFR affecting this airport [VIEW]
Communications frequencies: [VIEW]

Runways:

RWY identifierQFULength (ft)Width (ft)SurfaceLDA (ft)
18179°5201100CONC
36359°5201100CONC

Airport contact information

Address: Wellington United States

Satellite view of KEGT