VAC chart of SGAS
IAC chart of SGAS
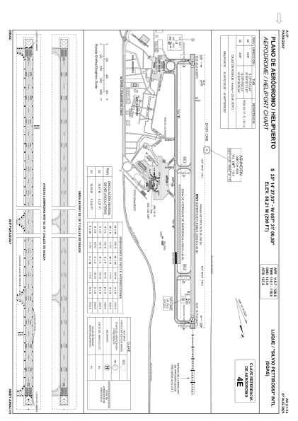
ADC chart of SGAS
Satellite view of SGAS
image banner adimage banner adimage banner ad
image banner ad

SGAS - Luque/Silvio Pettirossi Intl

Located in Asuncion, Paraguay

ICAO - SGAS, IATA - ASU

Data provided by Airmate  

General information

Coordinates: S25°14'28" W57°31'1"
Elevation is 290 feet MSL.
Magnetic variation is -15° East
View others Airports in Central Department

Operational data

Special qualification required
Current time UTC:
Current local time:
View NOTAMs / SUP AIP / TFR affecting this airport [VIEW]
Communications frequencies: [VIEW]

Runways:

RWY identifierQFULength (ft)Width (ft)SurfaceLDA (ft)
0212°11047142ASPH10997
20192°11047142ASPH10997

Airport contact information

Address: Asuncion Paraguay

Satellite view of SGAS