VAC chart of RJSC
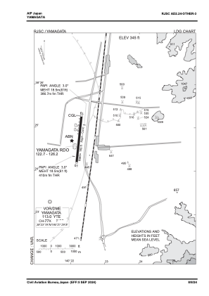
IAC chart of RJSC
ADC chart of RJSC
Satellite view of RJSC
image banner adimage banner adimage banner ad
image banner ad

RJSC - Yamagata

Located in Yamagata, Japan

ICAO - RJSC, IATA - GAJ

Data provided by Airmate  

General information

Coordinates: N38°24'43" E140°22'16"
Elevation is 345 feet MSL.
 
View others Airports in Yamagata Prefecture

Operational data

Special qualification required
Current time UTC:
Current local time:
View NOTAMs / SUP AIP / TFR affecting this airport [VIEW]
Communications frequencies: [VIEW]

Runways:

RWY identifierQFULength (ft)Width (ft)SurfaceLDA (ft)
016562148ASP
19187°6562148ASP

Airport contact information

Address: Yamagata Japan

Satellite view of RJSC