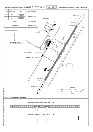
VTUQ - Nakhon Ratchasima / Nakhon Ratchasima Airport
Located in Nakhon Ratchasima, Thailand
ICAO - VTUQ, IATA - NAK
Data provided by AirmateGeneral information
Coordinates: N14°56'58" E102°18'46"
Elevation is 765 feet MSL.
View others Airports in Nakhon Ratchasima Province
Operational data
Special qualification required
Current time UTC:
Current local time:
Communications frequencies: [VIEW]
Runways:
| RWY identifier | QFU | Length (ft) | Width (ft) | Surface | LDA (ft) |
| 06 | 62° | 6890 | 148 | ASP | |
| 24 | 242° | 6890 | 148 | ASP |
Airport contact information
Address: Nakhon Ratchasima Thailand



