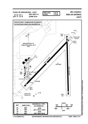
SAOC - Río Cuarto / Área De Material
Located in Río Cuarto, Argentina
ICAO - SAOC, IATA - RCU
Data provided by AirmateGeneral information
Coordinates: S33°5'32" W64°16'10"
Elevation is 1381 feet MSL.
View others Airports in Córdoba Province
Operational data
Special qualification required
Current time UTC:
Current local time:
Communications frequencies: [VIEW]
Runways:
| RWY identifier | QFU | Length (ft) | Width (ft) | Surface | LDA (ft) |
| 18 | 0° | 6808 | 131 | ASP | |
| 36 | 0° | 6808 | 131 | ASP | |
| 05 | 0° | 7431 | 148 | UNK | |
| 23 | 358° | 7431 | 148 | ASP |
Airport contact information
Address: Río Cuarto Argentina



