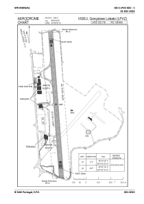
LPVZ - Viseu
Located in Viseu, Portugal
ICAO - LPVZ, IATA - VSE
Data provided by AirmateGeneral information
Coordinates: N40°43'32" W7°53'21"
Elevation is 2060 feet MSL.
Magnetic variation is -002.6833° East View others Airports in Viseu District
Operational data
Special qualification required
Current time UTC:
Current local time:
Communications frequencies: [VIEW]
Runways:
| RWY identifier | QFU | Length (ft) | Width (ft) | Surface | LDA (ft) |
| 18 | 0° | 3609 | 98 | UNK | |
| 36 | 0° | 3609 | 98 | UNK |
Airport contact information
Address: Viseu Portugal



