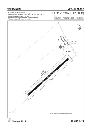
LHHM - Hodmezovasarhely
Located in Hodmezovasarhely, Hungary
ICAO - , IATA -
Data provided by AirmateGeneral information
Coordinates: N46°23'4" E20°18'30"
Elevation is 262 feet MSL.
View others Airports in Csongrád
Operational data
Special qualification required
Current time UTC:
Current local time:
Communications frequencies: [VIEW]
Runways:
| RWY identifier | QFU | Length (ft) | Width (ft) | Surface | LDA (ft) |
| 04 | 0° | 2608 | 82 | GRASS | |
| 22 | 0° | 2608 | 82 | GRASS |
Airport contact information
Address: Hodmezovasarhely Hungary



