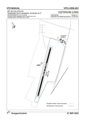
LHEM - Id. Rubik Erno
Located in Esztergom, Hungary
ICAO - LHEM, IATA -
Data provided by AirmateGeneral information
Coordinates: N47°45'29" E18°43'48"
Elevation is 361 feet MSL.
Magnetic variation is 3.7° East View others Airports in Komárom-Esztergom
Operational data
Special qualification required
Current time UTC:
Current local time:
Communications frequencies: [VIEW]
Runways:
| RWY identifier | QFU | Length (ft) | Width (ft) | Surface | LDA (ft) |
| 02 | 0° | 3281 | 82 | GRASS | |
| 20 | 0° | 3281 | 82 | GRASS |
Airport contact information
Address: Esztergom Hungary



