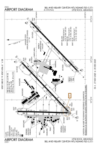
KLIT - Bill And Hillary Clinton Ntl/Adams Fld
Located in Little Rock, United States
ICAO - LIT, IATA - LIT
Data provided by AirmateGeneral information
Coordinates: N34°43'46" W92°13'29"
Elevation is 266 feet MSL.
Magnetic variation is 00° East View others Airports in Arkansas
Operational data
Special qualification required
Current time UTC:
Current local time:
Communications frequencies: [VIEW]
Runways:
| RWY identifier | QFU | Length (ft) | Width (ft) | Surface | LDA (ft) |
| 04L | 47° | 8273 | 150 | CONC | 7976 |
| 22R | 227° | 8273 | 150 | CONC | 8273 |
| 04R | 47° | 8251 | 150 | CONC | 7200 |
| 22L | 227° | 8251 | 150 | CONC | 7200 |
| 18 | 182° | 6224 | 150 | CONC | 6060 |
| 36 | 2° | 6224 | 150 | CONC | 6060 |
Airport contact information
Address: Little Rock United States
Other aviation service providers
Repair station
Central Flying Service Jet Group Inc.
Central Flying Service Jet Group Inc.
bill.woods@central.aero501-580-5546



