KLGB - Long Beach (Daugherty Fld)
Situé à Long Beach, United States
ICAO - LGB, IATA - LGB
Données fournies par AirmateInformation générale
Coordonnées: N33°49'5" W118°9'7"
Élévation : 60 feet MSL.
Variation magnétique : 14° East Voir autres Aéroports à California
Données opérationnelles
Special qualification required
Heure actuelle UTC:
Heure actuelle locale:
Fréquences de communication: [VIEW]
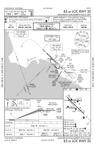
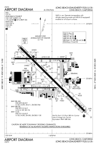
Pistes:
| Identifiant RWY | QFU | Longueur (ft) | Largeur (ft) | Surface | LDA (ft) |
| 08L | 90° | 6192 | 150 | ASPH | 4887 |
| 26R | 270° | 6192 | 150 | ASPH | 5660 |
| 08R | 90° | 3918 | 100 | ASPH | 3918 |
| 26L | 270° | 3918 | 100 | ASPH | 3918 |
| 12 | 135° | 10000 | 200 | ASPH | 8650 |
| 30 | 315° | 10000 | 200 | ASPH | 7414 |
| H2 | 0° | 0 | 0 | UNK | |
| H3 | 0° | 0 | 0 | UNK | |
| H4 | 0° | 0 | 0 | UNK | |
| H5 | 0° | 0 | 0 | UNK |
Coordonnées de l'aéroport
Adresse: Long Beach United States
Autres services d'aviation
Ateliers de réparation
Écoles de pilotage
Long Beach Flying Club & Flight Academy
Long Beach Flying Club & Flight Academy
Lbflying@yahoo.com5622900321
Atp Flight School (800-All-Atps)
Atp Flight School (800-All-Atps)
info@atpflightschool.com+1(800)255-2877
Accelerated Flight & Instrument Training
Accelerated Flight & Instrument Training
afit@twc.com+1(866)270-8224



