logo
Search for airport 
image banner adimage banner adimage banner ad
image banner ad

KFAT - Fresno Yosemite Intl

Located in Fresno, United States

ICAO - FAT, IATA - FAT

Data provided by Airmate  

General information

Coordinates: N36°46'36" W119°43'8"
Elevation is 335 feet MSL.
Magnetic variation is 13° East
View others Airports in California

Operational data

Special qualification required
Current time UTC:
Current local time:
View NOTAMs / SUP AIP / TFR affecting this airport [VIEW]
Communications frequencies: [VIEW]

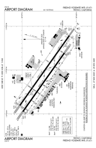
Runways:

RWY identifierQFULength (ft)Width (ft)SurfaceLDA (ft)
11L125°9539150ASPH9279
29R305°9539150ASPH9227
11R125°8008150ASPH8008
29L305°8008150ASPH8008

Airport contact information

Address: Fresno United States

Other aviation service providers

Repair station

Apr Aviation

Apr Aviation

Signature Technicair - Fresno

Signature Technicair - Fresno

Flight schools

Command Flight Center, Inc.

Command Flight Center, Inc.

Satellite view of KFAT