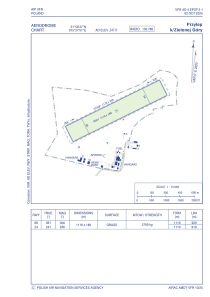
EPZP - Przylep K/Zielonej Gory
Situé à , Poland
ICAO - EPZP, IATA -
Données fournies par AirmateInformation générale
Coordonnées: N51°58'47" E15°27'51"
Élévation : 253 feet MSL.
Variation magnétique : 3.0000° East Voir autres Aéroports à Lubusz
Données opérationnelles
Special qualification required
Heure actuelle UTC:
Heure actuelle locale:
Fréquences de communication: [VIEW]
Pistes:
| Identifiant RWY | QFU | Longueur (ft) | Largeur (ft) | Surface | LDA (ft) |
| 06 | 0° | 2362 | 591 | UNK | |
| 24 | 0° | 2362 | 591 | UNK |
Coordonnées de l'aéroport
Adresse: Poland



