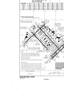
CYYZ - Lester B. Pearson Intl
Located in Toronto, Canada
ICAO - CYYZ, IATA - YYZ
Data provided by AirmateGeneral information
Coordinates: N43°40'34" W79°37'50"
Elevation is 569 feet MSL.
Magnetic variation is -10° East View others Airports in Ontario
Operational data
Special qualification required
Current time UTC:
Current local time:
Communications frequencies: [VIEW]
Runways:
| RWY identifier | QFU | Length (ft) | Width (ft) | Surface | LDA (ft) |
| 06R | 47° | 9000 | 197 | ASPH | 9000 |
| 24L | 227° | 9000 | 197 | ASPH | 8898 |
| 15L | 137° | 11050 | 200 | ASPH | 10886 |
| 33R | 317° | 11050 | 200 | ASPH | 11050 |
| 05 | 46° | 11120 | 200 | ASPH | 10640 |
| 23 | 227° | 11120 | 200 | ASPH | 10089 |
| 06L | 47° | 9697 | 197 | ASPH | 9697 |
| 24R | 227° | 9697 | 197 | ASPH | 9392 |
| 15R | 137° | 9088 | 197 | ASPH | 8500 |
| 33L | 317° | 9088 | 197 | ASPH | 8490 |
Airport contact information
Address: Toronto Canada



