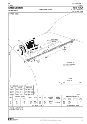
LFQA - Reims Prunay
Located in Reims, France
ICAO - LFQA, IATA -
Data provided by AirmateGeneral information
Coordinates: N49°12'31" E4°9'24"
Elevation is 313 feet MSL.
Magnetic variation is 1.55° East View others Airports in Champagne-Ardenne
Operational data
Special qualification required
Current time UTC:
Current local time:
Communications frequencies: [VIEW]
Runways:
| RWY identifier | QFU | Length (ft) | Width (ft) | Surface | LDA (ft) |
| 07R | 66° | 3268 | 256 | GRASS | 3068 |
| 25L | 246° | 3268 | 256 | GRASS | 2736 |
| 07 | 66° | 3773 | 98 | ASPH | 3100 |
| 25 | 246° | 3773 | 98 | ASPH | 2608 |
Airport contact information
Address: Reims France



