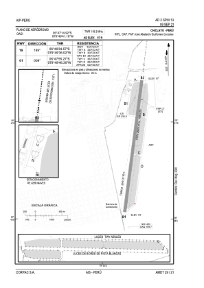
SPHI - Aeropuerto Intl. Capitan Fap Jose Abelardo Quinones Gonzales
Located in Chiclayo, Peru
ICAO - SPHI, IATA - CIX
Data provided by AirmateGeneral information
Coordinates: S6°47'15" W79°49'41"
Elevation is 97 feet MSL.
View others Airports in Lambayeque Region
Operational data
Special qualification required
Current time UTC:
Current local time:
Communications frequencies: [VIEW]
Runways:
| RWY identifier | QFU | Length (ft) | Width (ft) | Surface | LDA (ft) |
| 01 | 7° | 8202 | 148 | ASP | |
| 19 | 187° | 8202 | 148 | ASP |
Airport contact information
Address: Chiclayo Peru



