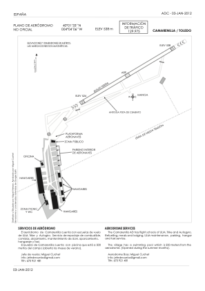
LERN - Camarenilla
Located in Toledo, Spain
ICAO - , IATA -
Data provided by AirmateGeneral information
Coordinates: N40°1'33" W4°4'8"
Elevation is 1765 feet MSL.
Magnetic variation is -1° East View others Airports in Castilla-La Mancha
Operational data
Special qualification required
Current time UTC:
Current local time:
Communications frequencies: [VIEW]
Runways:
| RWY identifier | QFU | Length (ft) | Width (ft) | Surface | LDA (ft) |
| 05 | 0° | 1640 | 66 | DIRT | |
| 23 | 0° | 1640 | 66 | DIRT | |
| 06 | 60° | 1228 | 40 | UNKN | |
| 24 | 240° | 1228 | 40 | UNKN |
Airport contact information
Address: Toledo Spain



