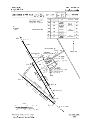
HEBR - Bernice Intl
Located in Marsa Alam, Egypt
ICAO - , IATA - EES
Data provided by AirmateGeneral information
Coordinates: N23°59'20" E35°27'27"
Elevation is 144 feet MSL.
View others Airports in Red Sea Governorate
Operational data
Special qualification required
Current time UTC:
Current local time:
Communications frequencies: [VIEW]
Runways:
| RWY identifier | QFU | Length (ft) | Width (ft) | Surface | LDA (ft) |
| 15L | 150° | 11975 | 148 | UNK | |
| 33R | 330° | 11975 | 148 | UNK | |
| 15R | 150° | 0 | 0 | UNK | |
| 33L | 330° | 0 | 0 | UNK | |
| 13 | 131° | 0 | 0 | UNK | |
| 31 | 311° | 0 | 0 | UNK |
Airport contact information
Address: Marsa Alam Egypt



