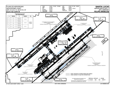
MMSM - Santa Lucia Air Force Base
Located in Reyes Acozac, Mexico
ICAO - MMSM, IATA - NLU
Data provided by AirmateGeneral information
Coordinates: N19°45'19" W99°0'59"
Elevation is 7362 feet MSL.
Magnetic variation is 4° East View others Airports in Mexico
Operational data
Special qualification required
Current time UTC:
Current local time:
Communications frequencies: [VIEW]
Runways:
| RWY identifier | QFU | Length (ft) | Width (ft) | Surface | LDA (ft) |
| 04L | 49° | 14764 | 148 | UNK | |
| 22R | 229° | 14764 | 148 | UNK | |
| 04C | 49° | 14764 | 148 | UNK | |
| 22C | 229° | 14764 | 148 | UNK | |
| 04R | 49° | 11483 | 148 | UNK | |
| 22L | 229° | 11483 | 148 | UNK | |
| 04 | 49° | 9932 | 251 | ASPH | |
| 22 | 229° | 9932 | 251 | ASPH |
Airport contact information
Address: Reyes Acozac Mexico



