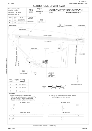
LIMG - Albenga/Riviera Airport
Located in Albenga, Italy
ICAO - LIMG, IATA - ALL
Data provided by AirmateGeneral information
Coordinates: N44°2'45" E8°7'32"
Elevation is 148 feet MSL.
View others Airports in Liguria
Operational data
Special qualification required
Current time UTC:
Current local time:
Communications frequencies: [VIEW]
Runways:
| RWY identifier | QFU | Length (ft) | Width (ft) | Surface | LDA (ft) |
| 09 | 94° | 4698 | 148 | ASP | |
| 27 | 274° | 4698 | 148 | ASP |
Airport contact information
Address: Albenga Italy
Other aviation service providers
Flight schools
Piaggio Aero Industies S.P.A.
Piaggio Aero Industies S.P.A.
customertraining@piaggioaerospace.it+390182267911



