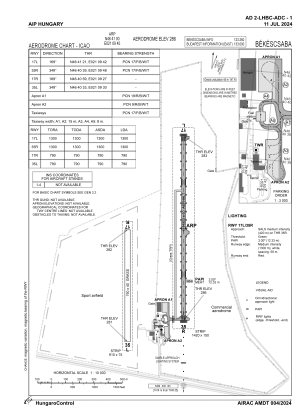
LHBC - Bekescsaba
Located in Bekescsaba, Hungary
ICAO - LHBC, IATA -
Data provided by AirmateGeneral information
Coordinates: N46°41'0" E21°9'45"
Elevation is 285 feet MSL.
Magnetic variation is 5.62° East View others Airports in Békés
Operational data
Special qualification required
Current time UTC:
Current local time:
Communications frequencies: [VIEW]
Runways:
| RWY identifier | QFU | Length (ft) | Width (ft) | Surface | LDA (ft) |
| 17L | 175° | 4265 | 98 | ASPH | 4265 |
| 35R | 355° | 4265 | 98 | ASPH | 4265 |
| 17R | 175° | 2592 | 131 | GRASS | 2592 |
| 35L | 355° | 2592 | 131 | GRASS | 2592 |
Airport contact information
Address: Bekescsaba Hungary



