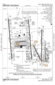
KSLC - Salt Lake City Intl
Located in Salt Lake City, United States
ICAO - SLC, IATA - SLC
Data provided by AirmateGeneral information
Coordinates: N40°47'18" W111°58'40"
Elevation is 4230 feet MSL.
Magnetic variation is 11° East View others Airports in Utah
Operational data
Special qualification required
Current time UTC:
Current local time:
Communications frequencies: [VIEW]
Runways:
| RWY identifier | QFU | Length (ft) | Width (ft) | Surface | LDA (ft) |
| 14 | 153° | 4893 | 150 | ASPH | 4893 |
| 32 | 333° | 4893 | 150 | ASPH | 4893 |
| 16L | 175° | 12002 | 150 | ASPH | 12002 |
| 34R | 355° | 12002 | 150 | ASPH | 12002 |
| 16R | 175° | 12000 | 150 | CONC | 12000 |
| 34L | 355° | 12000 | 150 | CONC | 12000 |
| 17 | 180° | 9596 | 150 | ASPH | 9596 |
| 35 | 360° | 9596 | 150 | ASPH | 9272 |
| HB | 0° | 0 | 0 | UNK | |
| HF | 0° | 0 | 0 | UNK |
Airport contact information
Address: Salt Lake City United States



