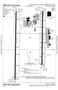
KHSV - Huntsville Intl-Carl T Jones Fld
Located in Huntsville, United States
ICAO - HSV, IATA - HSV
Data provided by AirmateGeneral information
Coordinates: N34°38'14" W86°46'30"
Elevation is 628 feet MSL.
Magnetic variation is -04° East View others Airports in Alabama
Operational data
Special qualification required
Current time UTC:
Current local time:
Communications frequencies: [VIEW]
Runways:
| RWY identifier | QFU | Length (ft) | Width (ft) | Surface | LDA (ft) |
| 18L | 181° | 10001 | 150 | ASPH | 9801 |
| 36R | 1° | 10001 | 150 | ASPH | 9801 |
| 18R | 181° | 12600 | 150 | OTHER | 12600 |
| 36L | 1° | 12600 | 150 | OTHER | 12600 |
Airport contact information
Address: Huntsville United States



