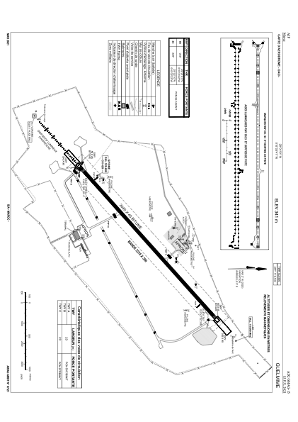
GMAG - Guelmime
Located in Guelmime, Morocco
ICAO - , IATA - GLN
Data provided by AirmateGeneral information
Coordinates: N29°1'35" W10°3'2"
Elevation is 1118 feet MSL.
Magnetic variation is -2° East View others Airports in Tiznit
Operational data
Special qualification required
Current time UTC:
Current local time:
Communications frequencies: [VIEW]
Runways:
| RWY identifier | QFU | Length (ft) | Width (ft) | Surface | LDA (ft) |
| 05 | 46° | 9934 | 129 | ASPH | 9974 |
| 23 | 226° | 9934 | 129 | ASPH | 9974 |
Airport contact information
Address: Guelmime Morocco



