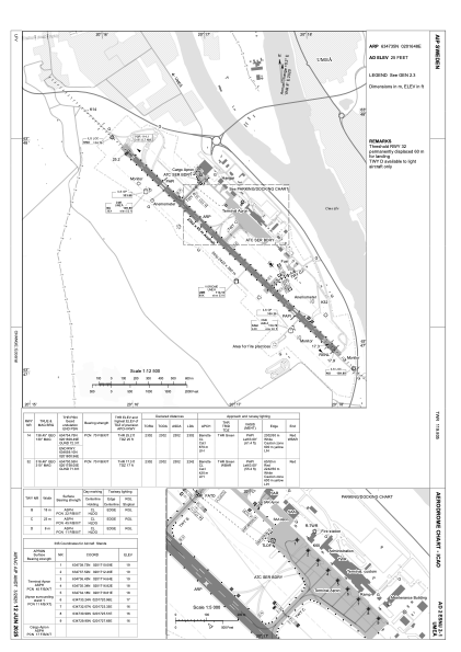
ESNU - Umea
Located in Umea, Sweden
ICAO - ESNU, IATA - UME
Data provided by AirmateGeneral information
Coordinates: N63°47'35" E20°16'48"
Elevation is 25 feet MSL.
Magnetic variation is +8.0° East View others Airports in Västerbottens län
Operational data
Special qualification required
Current time UTC:
Current local time:
Communications frequencies: [VIEW]
Runways:
| RWY identifier | QFU | Length (ft) | Width (ft) | Surface | LDA (ft) |
| 14 | 138° | 7552 | 148 | ASP | |
| 32 | 318° | 7552 | 148 | ASP |
Airport contact information
Address: Umea Sweden
Web: www.swedavia.se/umea



