EPPL - Plock
Located in Plock, Poland
ICAO - EPPL, IATA - QPC
Data provided by AirmateGeneral information
Coordinates: N52°33'43" E19°43'11"
Elevation is 330 feet MSL.
Magnetic variation is 4.0000° East View others Airports in Masovia
Operational data
Special qualification required
Current time UTC:
Current local time:
Communications frequencies: [VIEW]
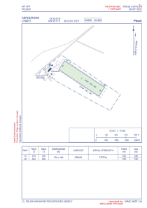
Runways:
| RWY identifier | QFU | Length (ft) | Width (ft) | Surface | LDA (ft) |
| 12 | 0° | 2395 | 525 | UNK | |
| 30 | 0° | 2395 | 525 | UNK |
Airport contact information
Address: Plock Poland



