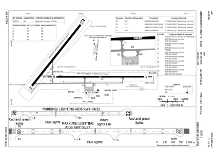
DAAP - Illizi / Ibrahim Ghouma (Takhamalt)
Located in Illizi, Algeria
ICAO - DAAP, IATA - VVZ
Data provided by AirmateGeneral information
Coordinates: N26°43'25" E8°37'21"
Elevation is 1778 feet MSL.
Magnetic variation is 2° East View others Airports in Illizi Province
Operational data
Special qualification required
Current time UTC:
Current local time:
Communications frequencies: [VIEW]
Runways:
| RWY identifier | QFU | Length (ft) | Width (ft) | Surface | LDA (ft) |
| 09 | 91° | 9925 | 148 | ASP | 9925 |
| 27 | 271° | 9925 | 148 | ASP | 9925 |
| 04 | 0° | 9186 | 148 | CONC | 9186 |
| 22 | 0° | 9186 | 148 | CONC | 9186 |
Airport contact information
Address: Illizi Algeria



