Search for airport 

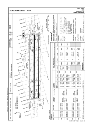
EKSP - Vojens/Skrydstrup

Located in Vojens, Denmark

ICAO - EKSP, IATA - SKS

Data provided by Airmate  

General information

Coordinates: N55°13'32" E9°15'50"
Elevation is 141 feet MSL.
Magnetic variation is +2.4° East
View others Airports in South Denmark

Operational data

Special qualification required
Current time UTC:
Current local time:
View NOTAMs / SUP AIP / TFR affecting this airport [VIEW]
Communications frequencies: [VIEW]

Runways:

RWY identifierQFULength (ft)Width (ft)SurfaceLDA (ft)
10R974779UNK
28L974779UNK
10L9862148UNK
28R9862148UNK

Airport contact information

Address: Vojens Denmark

Other aviation service providers

Aviation club (not for profit)

Haderslev Flyveklub

Haderslev Flyveklub

Satellite view of EKSP