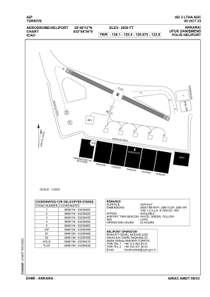
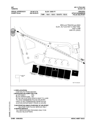
LTHA - Ankara Ufuk Danismend Police Heliport
Situé à , Turkey
ICAO - , IATA -
Données fournies par AirmateInformation générale
Coordonnées: N39°48'12" E32°50'36"
Élévation : 3650 feet MSL.
Variation magnétique : 6° East Voir autres Aéroports à Ankara
Données opérationnelles
Special qualification required
Heure actuelle UTC:
Heure actuelle locale:
Fréquences de communication: [VIEW]
Pistes:
Coordonnées de l'aéroport
Adresse: Turkey



